Im Auftrag der Besitzerin:
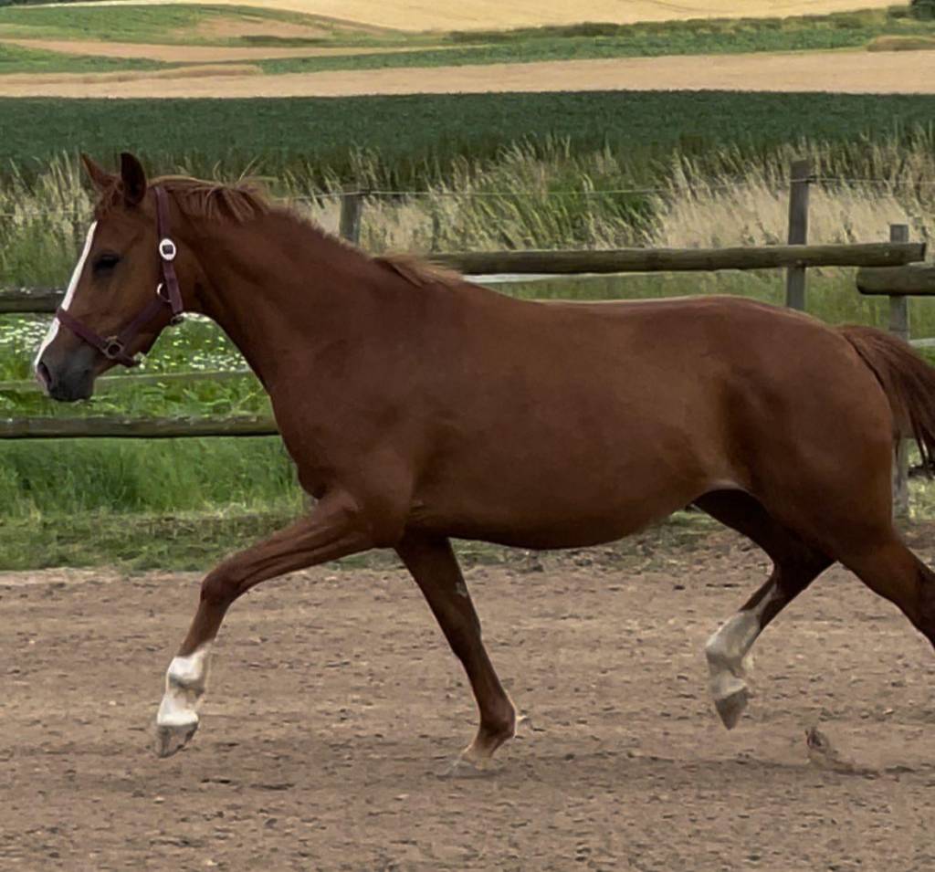
Diese charmante Stute vereint beste Blutlinien mit hervorragenden Grundgangarten und einem Charakter, der jeden Tag Freude macht. Aktuell noch roh, aber mit einem neugierigen, ausgeglichenen Wesen ausgestattet, bringt sie alles mit, was ein zukünftiges Schleifenpony braucht.
Ihr Trab ist überdurchschnittlich gut – elastisch, schwungvoll und mit viel Raumgriff. Auch Schritt und Galopp lassen ihr großes Potenzial erkennen. Dank ihrer vielseitigen Veranlagung eignet sie sich hervorragend für Dressur, Springen oder Vielseitigkeit – ganz nach individueller Förderung.
Mit ihrer klaren Kopfveranlagung und der auffällig guten Bewegung macht sie sich zur idealen Kandidatin für den Turniersport. Wer sie jetzt entdeckt und liebevoll fördert, wird in Zukunft mit einer echten Schleifensammlerin belohnt.
Stute: 8.560 € / Fohlen: 4.280 € // Zusammen: 12.000 €



Videos:
